柯基中国

柯基中国网

 找回密码
 立即注册

扫一扫,访问微社区

查看: 5903|回复: 3

求大神帮忙看看狗狗是否得了疥螨病

[复制链接]
  • TA的每日心情
    难过
    2018-2-1 16:27
  • 3

    主题

    42

    帖子

    860

    积分

    侯爵

    Rank: 4

    积分
    860
    发表于 2017-11-30 22:45:12 | 显示全部楼层 |阅读模式
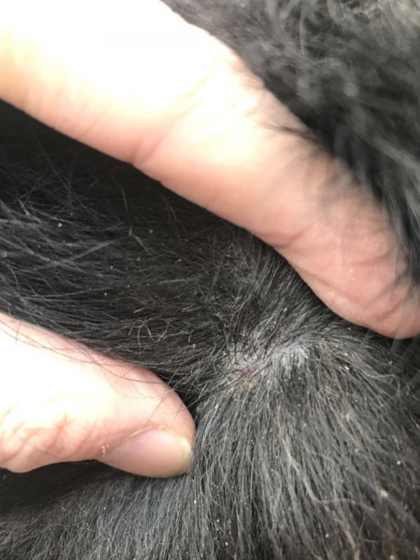
    最近发现狗狗疑似身体痒,总用嘴咬自己腰部和背部,扒开毛仔细观察,发现豆豆身上有很多类始于人头皮屑一样的物体,大腿内侧和背部还有小红点,经过论坛里观看帖子,感觉是得了疥螨病 ,不知道判断是否正确,请论坛内的大神帮忙确定一下。
    如果是疥螨病 ,还请告知如何治疗和用药,谢谢!
    微信图片_20171129231340.jpg
    微信图片_201711129231350.jpg
    微信图片_201711219231401.jpg
    微信图片_201711292311405.jpg
  • TA的每日心情
    难过
    2018-2-1 16:27
  • 3

    主题

    42

    帖子

    860

    积分

    侯爵

    Rank: 4

    积分
    860
     楼主| 发表于 2017-12-1 21:32:27 | 显示全部楼层
    都没有人来搭理我一下
  • TA的每日心情
    郁闷
    2019-3-8 19:05
  • 5

    主题

    33

    帖子

    108

    积分

    伯爵

    Rank: 3Rank: 3

    积分
    108
    发表于 2017-12-31 19:41:57 | 显示全部楼层
    mmmmmmmmmmmmmmmmmmmmmmmmm
    您需要登录后才可以回帖 登录 | 立即注册

    本版积分规则

    小黑屋|手机版|Archiver|柯基中国 ( 苏ICP备2024101287号-2 )

    GMT+8, 2025-11-6 02:03 , Processed in 0.015017 second(s), 15 queries , MemCache On.

    Powered by Discuz! X3.4

    © 2001-2017 Comsenz Inc.

    快速回复 返回顶部 返回列表